Koszalin DZIAŁKA SPRZEDAŻ za cenę 120 000 zł - DobryAdres.pl - ogłoszenia nieruchomości Szczecin. Sprzedaż mieszkań, domów, działek i lokali użytkowych.

‹ Wróć do listy ofert Następna oferta

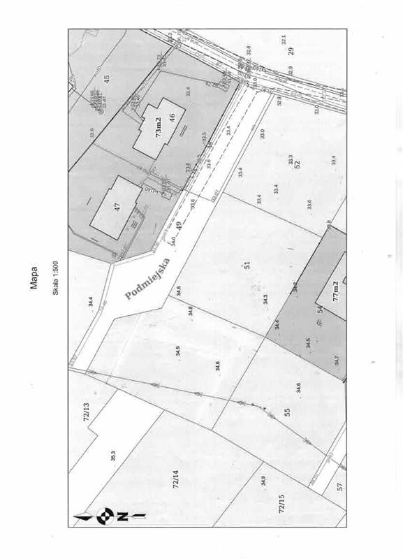
Koszalin, ul. Podmiejska, działka budowlana

Działka na sprzedaż - Koszalin, ul. Podmiejska

oferta była przeglądana 135 razy

120 000 PLN notatnik

cena za m2 116 PLN

  • ZDJĘCIA
  • video
Koszalin, ul. Podmiejska, działka budowlana (1)Koszalin, ul. Podmiejska, działka budowlana (2)Koszalin, ul. Podmiejska, działka budowlana (3)Koszalin, ul. Podmiejska, działka budowlana (4)Koszalin, ul. Podmiejska, działka budowlana (5)Koszalin, ul. Podmiejska, działka budowlana (6)Koszalin, ul. Podmiejska, działka budowlana (7)Koszalin, ul. Podmiejska, działka budowlana (8)Koszalin, ul. Podmiejska, działka budowlana (9)
Kazimierz Wysokiński
(Wysokińscy Media)
nr licencji: pod nadzorem nr 45

tel.: 792763241
email: [email protected]
informacje ogólne
Symbol
1001329
Cena cena w innych walutach
120 000, 00 PLN
Opis oferty


NA SPRZEDAŻ

DZIAŁKA

w Koszalinie przy ulicy Podmiejskiej

Przedmiotem sprzedaży jest odrębnie wydzielona geodezyjnie działka budowlana nr 50 o powierzchni 1032 m 2.

UWAGA! OBNIŻKA CENY OFERTOWEJ na 120.000 zł

Cena za metr kwadratowy wynosi: 116,28 zł / m 2;

Działka ma osobną księgę wieczystą.

Obecnie nie ma Miejscowego Planu Zagospodarowania Przestrzennego .

W sąsiedztwie domy wolnostojące jednorodzinne.

Dostępne sieci uzbrojenia terenu: gaz, energia elektryczna i woda. Obecnie sąsiedzi użytkują studnię glębinową i szambo.

Wystąpiono o opinię instytucji branżowych, dot. uzbrojenia działki.

Warunki przyłączeniowe do uzgodnienia z instytucjami branżowymi.

Dojazd do działek zjazdem od ulicy Połczyńskiej w kierunku Seminarium, a następnie drogą utwardzoną na wprost. Za hydrantem i wystająca żółtą końcówką rury gazowej skręcić w prawo i działki znajdują się na końcu, drogi gminnej nr 49 GMINY MIASTA KOSZALIN, tej drogi gruntowej w sąsiedztwie innych domów.

Prezentacja opisanej nieruchomości po wcześniejszym kontakcie telefonicznym z Pośrednikiem odpowiedzialnym zawodowo, nr lic. zaw. 45.


Kazimierz Wysokiński
(Wysokińscy Media)
nr licencji: pod nadzorem nr 45

7927632 (pokaż)
[email protected]

telefon

email

nie wypełniaj

zapytanie

Podobne oferty