
Atrakcyjna działka budowlana w Koszalinie
DZIAŁKA NA SPRZEDAŻ KOSZALIN, SARZYNO
Pamiętaj, wynagrodzenie biura REMAX NA TROPIE pokrywa wyłącznie strona sprzedająca.
Pamiętaj, że wynagrodzenie biura pokrywa wyłącznie strona sprzedająca
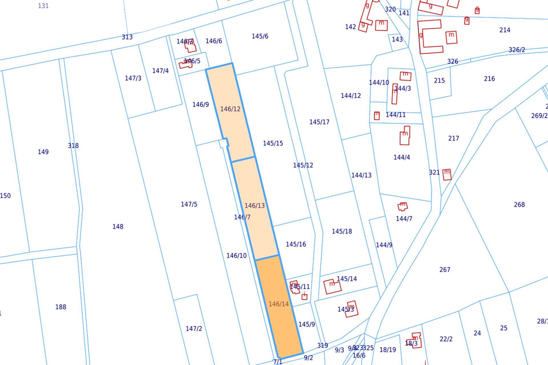
Odkryj wyjątkową działkę budowlaną w Koszalinie - oferujemy na sprzedaż przestronną działkę budowlaną nr 34/28 o powierzchni 2.784 m2, dobrze zlokalizowaną przy ul. Połczyńskiej z dojazdem drogą utwardzoną od ulicy Seminaryjnej, obecnie ulicą Świętojańską w dzielnicy Sarzyno.
Przedmiotowa działka bezpośrednio graniczy z działką nr 34/29, która stanowi drogę dojazdową również do działki 34/27.
To doskonałe miejsce na realizację INWESTYCJI DEWELOPERSKIEJ, położonej w sąsiedztwie przyjaznej zabudowy jednorodzinnej i szeregowej.
Lokalizacja ta łączy w sobie spokojne życie z łatwym dostępem do głównych arterii miasta, dzięki czemu jest doskonałą propozycją dla tych, którzy cenią sobie zarówno ciszę, jak i wygodę miejskiego życia.
W pobliżu znajdują się liczne markety (Komfort, Dino, Netto, Biedronka, Netto, CH Forum), kompleks edukacyjny Zespół Szkół nr 12, przychodnia weterynaryjna, teatr oraz inne punkty usługowe, co zdecydowanie podnosi atrakcyjność tego miejsca.
Atuty działki:
- Miejscowy Plan Zagospodarowania Przestrzennego dla terenu B.8MW:
1) przeznaczenie - tereny zabudowy mieszkaniowej wielorodzinnej,
2) zasady zagospodarowania terenów i kształtowania zabudowy:
a) zabudowa w formie małych domków mieszkalnych,
3) minimalna powierzchnia działki budowlanej - 650 m2;
- Wszystkie media dostępne w bezpośrednim sąsiedztwie (energia elektryczna, woda, gaz, kanalizacja sanitarna docelowo do sieci, tymczasowo do zbiorników bezodpływowych,
- Wskaźnik powierzchni biologicznie czynnej- minimum 30%,
- Wskaźnik powierzchni zabudowy- maksimum 35%,
- Intensywność zabudowy
a) maksymalna 1,5
b) minimalna 0,25
c) wysokość zabudowy do 11 m ( dla budynków i ich części przykrytych dachami stromymi)
- Dobra lokalizacja z szybkim dostępem do komunikacji miejskiej (linie nr 9 i nr 19),
- Płaski teren, co ułatwia projektowanie i budowę,
Link do geoportalu: https://mapy.geoportal.gov.pl/imap/Imgp_2.html?locale=pl&&gui=new&&sessionID=7583424
Istnieje również możliwość zakupu sąsiednich działek nr 34/26, 34/28, 34/29. Powierzchnia całkowita po połączeniu wszystkich działek wynosi 5.397 m2.
Działka nr 34/27 wyróżnia się swoją lokalizacją i możliwościami, które czynią ją idealnym miejscem do stworzenia rentownej inwestycji deweloperskie.
Jeśli szukasz przestrzeni z potencjałem, doskonałej lokalizacji i łatwego dostępu do wszystkich udogodnień miasta, ta oferta jest skierowana właśnie do Ciebie.
Zapraszamy do kontaktu z biurem RE/MAX, aby dowiedzieć się więcej o tej wyjątkowej nieruchomości.
Pamiętaj, że wynagrodzenie biura pokrywa wyłącznie strona sprzedająca - skorzystaj z tej okazji i zacznij planować przyszłość w miejscu, które inspiruje.
Twój Agent Nieruchomości:
Monika Haniewicz
tel. 607-360-250
e-mail: [email protected]
Treść niniejszego ogłoszenia nie stanowi oferty handlowej w rozumieniu Kodeksu Cywilnego. Treść ma charakter informacyjny i zalecamy ich osobistą weryfikację. Kontaktując się z biurem Klient wyraża zgodę na przetwarzanie danych osobowych zgodnie z art. 13 ust. 1 ogólnego rozporządzenia o ochronie danych osobowych z dnia 27 kwietnia 2016 r. (RODO).
Administratorem Pani/Pana danych osobowych jest NaTropieNieruchomości.pl Sp. z o.o. z siedzibą w Koszalinie, ul. Zwycięstwa 94-98, 75-011 Koszalin.
Przysługuje Pani/Panu prawo dostępu do treści swoich danych oraz prawo ich sprostowania, usunięcia, ograniczenia przetwarzania, prawo do przenoszenia danych, prawo wniesienia sprzeciwu, a jeżeli przetwarzanie odbywa się na podstawie zgody: prawo do cofnięcia zgody w dowolnym momencie bez wpływu na zgodność z prawem przetwarzania, którego dokonano na podstawie zgody przed jej cofnięciem. Wszelkie wnioski dotyczące wskazanych powyżej praw prosimy kierować na adres email: [email protected]
Oferta wysłana z programu dla biur nieruchomości ASARI CRM (asaricrm.com)
479 000 PLN
2784,00 m2 Zobacz ofertę