
Atrakcyjne działki inwestycyjne w Nowym Tomyślu
DZIAŁKA NA SPRZEDAŻ NOWY TOMYŚL,
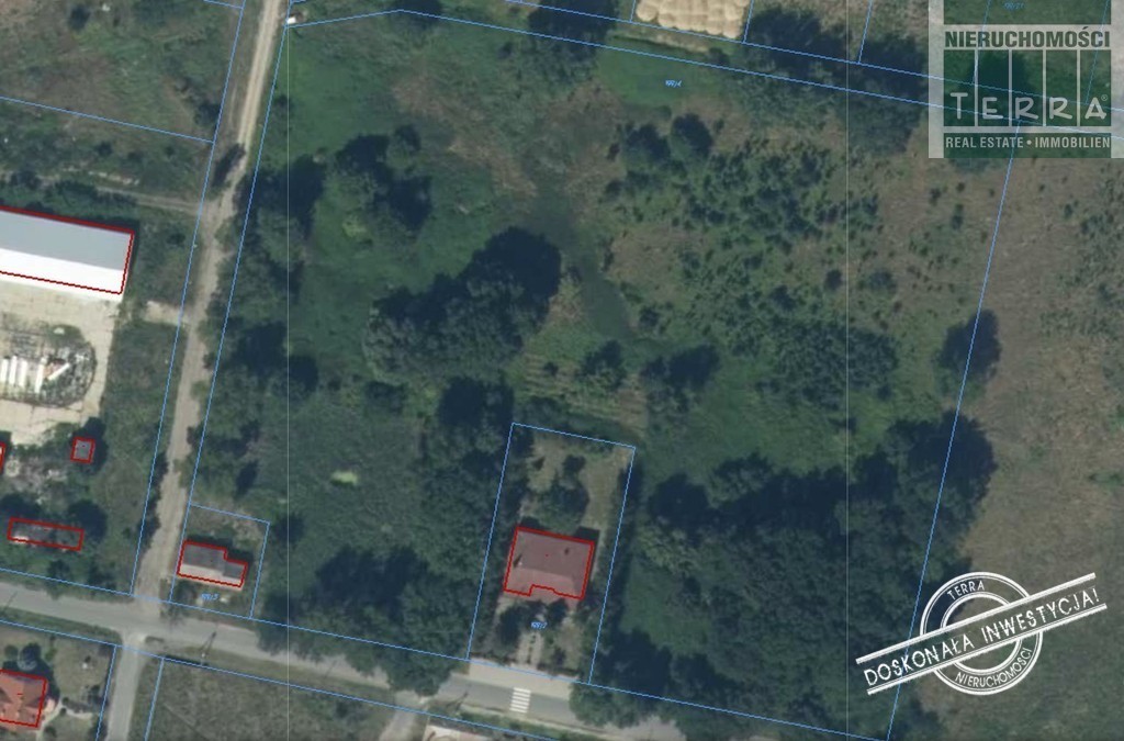
Na sprzedaż nieruchomość gruntowa, niezabudowana, zlokalizowana w Nowym Tomyślu,
w skład której wchodzi 6 sąsiadujących ze sobą działek.
- łączna powierzchnia działek to 21.834 m2
- uchwalony MPZP - teren zabudowy obszarów produkcyjnych i magazynów
Najbliższe otoczenie nieruchomości stanowi zabudowa produkcyjna oraz
działki niezabudowane, przeznaczone pod działalność gospodarczą.
Poszczególne działki znajdują się na terenach zabudowy obiektów produkcyjnych, składów i magazynów, oznaczonych symbolem 11P, zgodnie z Uchwałą MPZP Nr: XLVII/439/2018, z dnia 26.02.2018 r.
Proponowana nieruchomość składa się z 6 wydzielonych działek o powierzchniach:
- 1.428 m2
- 1.726 m2
- 1.650 m2
- 4.908 m2
- 5.050 m2
- 5.721 m2
oraz działki stanowiącej wewnętrzną drogę dojazdową, zapewniającą dostęp do asfaltowej drogi publicznej.
Wszystkie działki są foremne o kształcie prostokąta i płaskim ukształtowaniu terenu i tworzą jedną funkcjonalną całość.
Można je kupić łącznie lub pojedynczo.
Media: woda, prąd, gaz oraz kanalizacja - przy drodze publicznej lub bezpośrednio przy konkretnych działkach.
Nieruchomość usytuowana jest w południowej części miasta, w odległości 3 km od centrum Nowego Tomyśla oraz 8 km od autostrady A2.
W niedalekiej odległości od działek wybudowana i oddana do użytku została obwodnica miasta, co w znacznym stopniu poprawiło komunikację.
Dla inwestora potrzebującego większego gruntu jest możliwość dokupienia dodatkowego terenu o pow. 2,85 ha, co łącznie daje ponad 5 ha nieruchomości inwestycyjnej.
Nowy Tomyśl będąc jednym z największych powiatów w zachodniej części województwa wielkopolskiego, a jednocześnie zlokalizowany bezpośrednio przy autostradzie A2, stanowi o atrakcyjności tych działek pod kątem wielu możliwości inwestycyjnych.
Zapraszam do kontaktu i na prezentację!
Planujesz skredytować to marzenie? Zadzwoń.
Pośredniczymy w transakcjach obrotu nieruchomościami i pomagamy uzyskać kredyt hipoteczny na terenie całej Polski. Posiadamy 8 oddziałów - w Szczecinie, Warszawie, Poznaniu, Gdańsku, Olsztynie, Rzeszowie i Lublinie. Nasi agenci bezpłatnie dojeżdżają do Klientów.
Jesteś zainteresowany niezobowiązującym spotkaniem? Zadzwoń do nas już dziś.
Treść niniejszego ogłoszenia nie stanowi oferty handlowej w rozumieniu Kodeksu Cywilnego. Treść ma charakter informacyjny i zalecamy ich osobistą weryfikację.
Oferta wysłana z programu dla biur nieruchomości ASARI CRM (asaricrm.com)
4 803 480 PLN
21834,00 m2 Zobacz ofertę